Mukden Camp

 
 
 


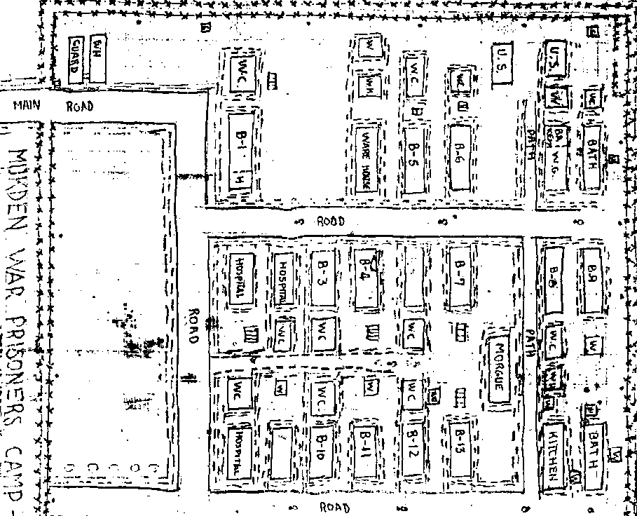
Camp Map


Close up section


POW building

BACK